В пострадавших районах Филиппин сложилась тяжелейшая гуманитарная ситуация. Власти пока не в состоянии обеспечить необходимым всех, кто остался без пищи, питьевой воды и крова. "Хайян" стал самым мощным тайфуном в мире в этом году и одним из самых сильных за все время метеорологических наблюдений. Это самое разрушительное стихийное бедствие в истории Филиппин.
Последствия супертайфуна "Хайян"
21
В Филиппинах объявлен "режим катастрофы", чтобы ускорить процесс помощи пострадавшим от супертайфуна "Хайян"
22
23
24
25
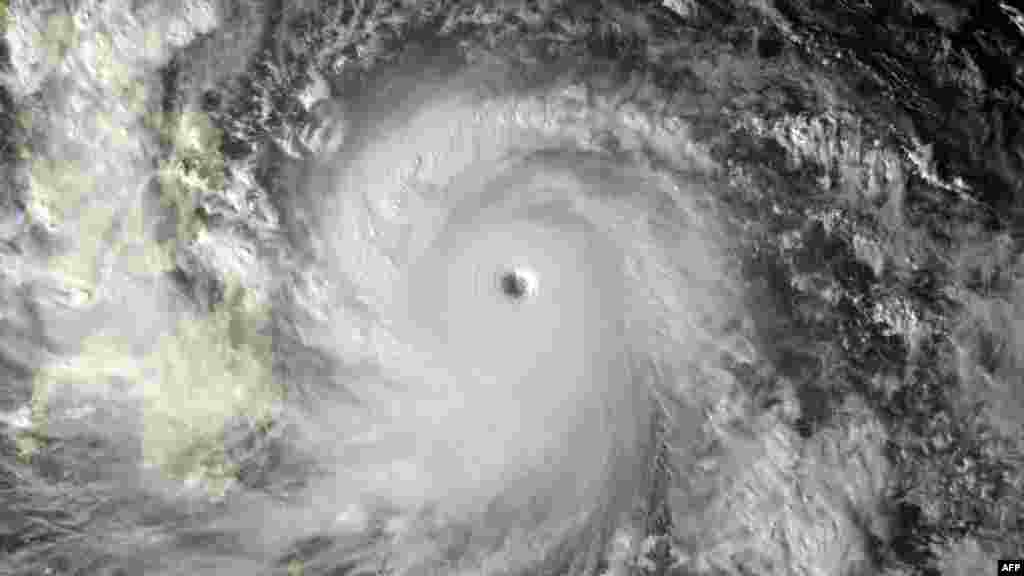
Начало тайфуна. Вид с космоса
26
Супертайфун, опустошивший несколько филиппинских островов, стал самым страшным бедствием в истории страны
27